Detail Perumahan

Informasi lengkap mengenai Bukit Royal Kencana dari Dinas Perumahan Rakyat Dan Kawasan Permukiman Kabupaten Magetan.

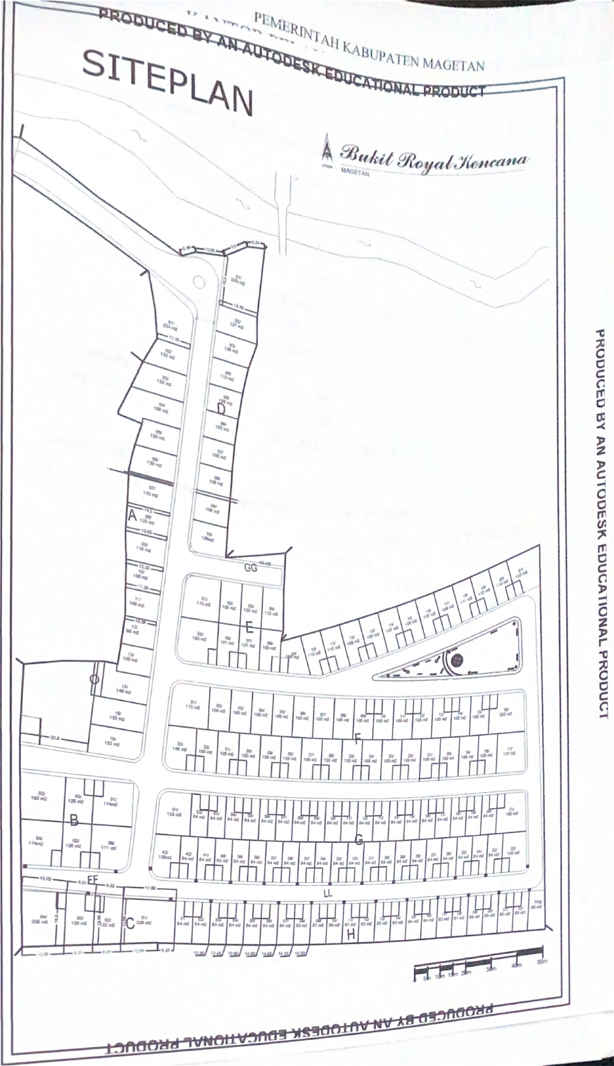
Bukit Royal Kencana

Pengembang: PT. Suna Dwi Tunggal Perkasa | Alamat: Bulukerto, Magetan

Selesai Penyerahan PSU Fisik

2022

155 unit

8261.00 m²

Lokasi Properti

Gambar Perumahan

Prasarana dan Utilitas

6806.00 m²

852.00 m²

603.00 m²

Tidak ada

Tidak ada

Tidak ada

Tidak ada

Site Plan