Detail Perumahan

Informasi lengkap mengenai Kaveling Siap dari Dinas Perumahan Rakyat Dan Kawasan Permukiman Kabupaten Magetan.

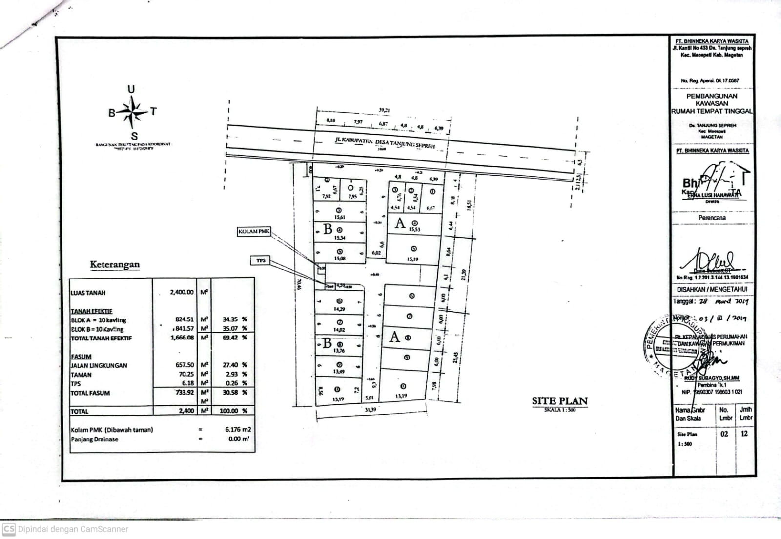
Kaveling Siap

Pengembang: PT. Bhinneka Karya Waskita | Alamat: Desa Tanjung Sepreh

Selesai Penyerahan PSU Administrasi

2022

20 unit

733.92 m²

Lokasi Properti

URL Google Maps tidak tersedia.

Gambar Perumahan

Prasarana dan Utilitas

657.50 m²

70.25 m²

Tidak ada

Tidak ada

6.18 m²

Tidak ada

Tidak ada

Site Plan