Detail Perumahan

Informasi lengkap mengenai Perumahan Kawedanan Residence dari Dinas Perumahan Rakyat Dan Kawasan Permukiman Kabupaten Magetan.

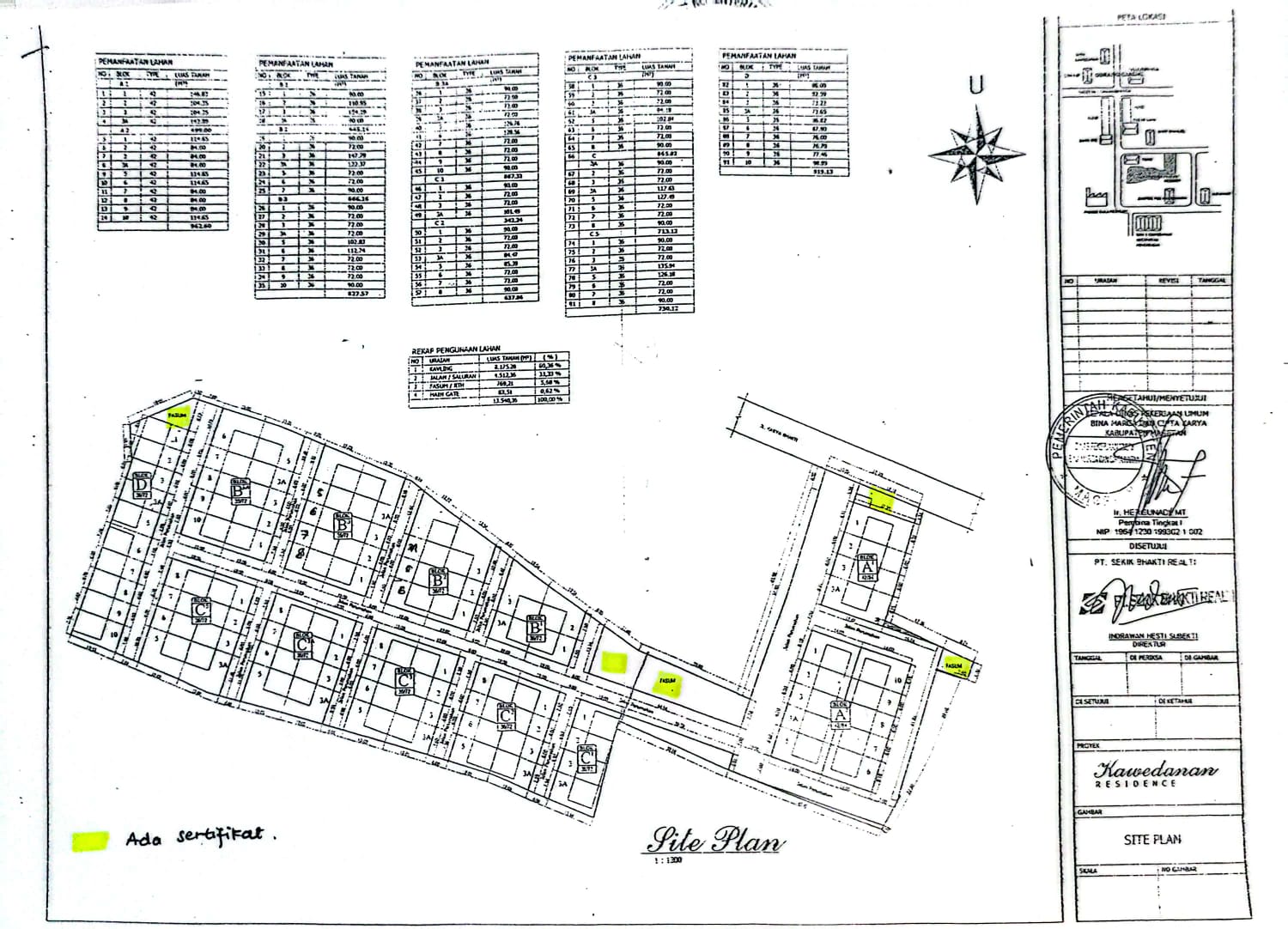
Perumahan Kawedanan Residence

Pengembang: PT. Sekik Bhakti Realti | Alamat: Desa Kawedanan

Selesai Penyerahan PSU Administrasi

2022

12 unit

5017.00 m²

Lokasi Properti

URL Google Maps tidak tersedia.

Gambar Perumahan

Prasarana dan Utilitas

0.00 m²

310.00 m²

258.00 m²

Tidak ada

Tidak ada

Tidak ada

Tidak ada

Site Plan